en

Casa singola in vendita a Osimo

Osimo - Casa singola in vendita
185.000 €
Caratteristiche principali
500 m²
Superficie
12
Locali
2
Bagni
2
Box auto
Descrizione
**Edificio Residenziale in Vendita a Osimo - Grande Potenziale di Ristrutturazione! **

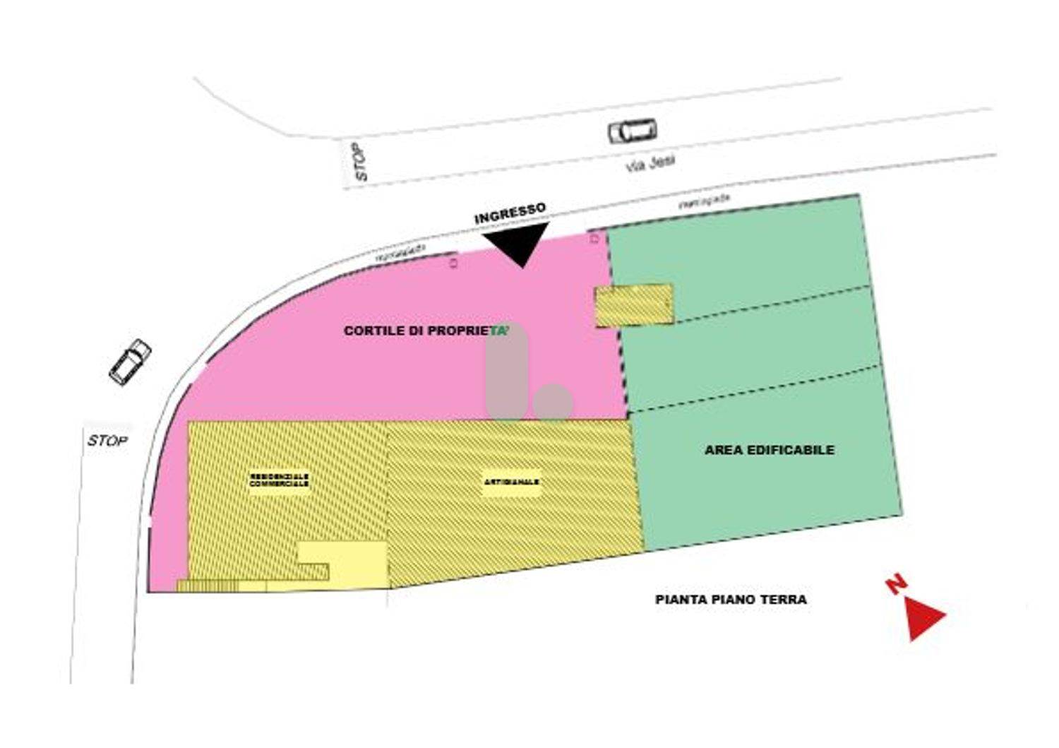
Scopri un'opportunità unica con questo intero fabbricato da ristrutturare, situato su una strada ad alto scorrimento, a pochi passi dal centro e dai supermercati.
Con una superficie totale di circa 500 mq, l'edificio si sviluppa su due piani e offre un connubio perfetto tra spazi commerciali e residenziali. Al piano terra troverai: un negozio di due locali, un appartamento, un box e tre magazzini, mentre al primo piano è presente un appartamento con una grande terrazza.
L’immobile è ottimo per imprese immobiliari/imprenditori, in quanto permette di poter realizzare appartamenti (da vendere o affittare), uffici, sede della propria società o attività di ristorazione.
Il lotto di terreno di circa 1200 mq include un cortile e un'area edificabile adiacente, offrendo consistenti possibilità di ampliamento. Completamente libero da inquilini, questo immobile è pronto per la tua idea.
La posizione strategica, a soli 6 km dalla stazione ferroviaria di Osimo e a 10 km dai caselli autostradali, rende questa proprietà ancora più interessante.
Non perdere l'occasione di investire in un edificio con un potenziale illimitato, venduto direttamente senza commissioni. Contattaci per maggiori informazioni e per organizzare una visita!
Certificazione energetica G 175Kwh/m2 anno
Prezzo 185.000.
Caratteristiche
Codice:
34454013
Città:
Osimo
Categoria:
Casa singola
Locali:
12
Bagni:
2
Mq:
500
Mq calpestabili:
500
Box auto:
2
Mq Box:
20
Posti auto:
5
Mq Giardino:
1200
Balconi:
1
Terrazzi:
1
Anno:
1950
Classe energetica:
G
175
Stato Immobile:
Da Ristrutturare
Orientamento:
Nord Ovest Sud Est
Planimetrie
Video
Mappa
di Jesi, 239 - Osimo (AN)
Richiedi informazioni
QR Code
QR Code
Cookie preference